Nombres 13 : 1 - 15 :41 - Lecture de la Torah: 25 Sivan 5785 / 21 juin 2025

De nombreuses questions se posent sur cette sidra.
HaShem a promis aux Patriarches de donner en héritage une contrée à leur descendance alors, pourquoi dit-IL à Moïse : "envoie pour toi" des observateurs ?
En fait, IL n’a pas demandé d’envoyer des observateurs mais en précisant bien "pour toi" cela signifie en d’autres termes : pour ce qui me concerne, Je sais ce que Je vais vous donner comme terre mais si toi, Moïse tu veux tranquilliser ce peuple, Je n’y vois pas d’inconvénient, envoie là-bas qui tu veux.
Nous assistons alors à un véritable déploiement de démagogie populaire dès le retour de ces émissaires : il faut tout d’abord savoir qui étaient ces envoyés.
Dans la parasha de Nasso il a été question des sacrifices offerts par les élus (les princes) de chaque tribu sauf celle des Léviim. D’autres représentants furent nommés pour se partager la nouvelle mission pendant les 40 jours que dura l’expédition pendant que les " princes" sont restés en poste.
Qui sont, alors, ceux qui sont partis parcourir le pays et en rapporter des fruits ? Ce sont ceux qui auraient pu être des "gouverneurs" locaux, sorte de préfets, pour chaque tribu. Or, en prenant possession du pays qu’en serait-il de leurs fonctions ?
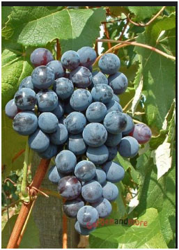
Redoutant de perdre leurs attributions et par conséquent de perdre le rang honorifique qui leur était conféré, ils ont adopté un discours très démagogique : vanter tout d’abord le pays et l’abondance matérielle que l’on y trouvait : des raisins si beaux si juteux qu’il fallut deux gros bâtons disposés en "x" et 8 hommes pour la porter ce qui reviendrait à dire que cette grappe de raisins pesait quelques 7 tonnes et que chacun des explorateurs pouvait porter près d’une tonne de marchandise !
C’est donc après avoir exposé ce magnifique raisin, cette superbe figue et la grenade géante et après avoir reconnu devant tout le peuple qu’en effet, les figues laissaient échapper un miel savoureux dont les chèvres se pourléchaient et qui provoquait chez elles une surabondance de lait riche qui s’écoulait de leurs mamelles, et c’est alors que les explorateurs portèrent leur "coup bas" : ce pays est effrayant car tout y est immense, et, devant un tel spectacle comment espérer être de taille ?!
D’autre part, pour que les habitants ne remarquent pas ces intrus, nous enseigne le midrash, D. occupa les Cananéens et les "géants" à enterrer les membres de leurs familles qui mourraient. La région de Kyriat Arba était habitée par 4 géants (1) d’où le nom de Kyriat Arba (la cité des 4). Nos explorateurs profitèrent de cette occasion qui leur était donnée pour déformer la vérité et déclarer au contraire, que la « Terre dévore ses habitants ».
Cette péricope offre un rapport direct avec la parasha dans laquelle nous avons vu Aharon et Myriam médire sur leur frère. La différence réside en ceci : Aharon et Myriam ont médit de leur frère alors que les explorateurs en dehors de Caleb et de Josué ont médit de la terre d’Israël et c’est à ce niveau qu’il est important de signaler que si la médisance envers d’êtres humains est très grave elle l’est encore bien plus, lorsque la médisance concerne la Terre d’Israël, et ceci, pour les raisons suivantes :
Affubler le pays de toutes sortes de défauts et dire qu’à cause de cela il est impossible d’y vivre est une faute grave car en donnant cette terre à Son peuple, D sait exactement ce qu’IL fait et ne « voir » les qualités du pays uniquement pour les détruire est non seulement un manque de confiance en D mais, ce qui est encore plus grave dirais-je c’est que l’on ne veut pas se reconnaître incapable de lutter pour se mettre à niveau mais de poser le problème en d’autres termes et accuser le pays au lieu de se remettre en cause : "Moi, je suis bien, mais ce pays est trop dur". Ou bien tout autre raison : les pays ruisselle de lait et de miel mais ces géants me font peur, jamais on n’arrivera à les détruire ! » Alors que D a promis « Je vous livrerai le pays et ses habitants »
Le manque de confiance se répète sans cesse et Moïse sans cesse également défend le peuple qui récrimine lui aussi sans fin. Un peuple de pleutres, incapable de voir que LE chemin à suivre est celui de D et de la Torah. Moïse tend la perche aux explorateurs mais ils ne savent pas la saisir.
Une autre crainte se fait jour : les honneurs dont ont fait l’objet tous ces "notables" devenus explorateurs ne leur seront plus attribués : leur conclusion est donc facile, ne pas aller plus avant et retourner en Egypte. Le Zohar est ferme sur ce point c’est à cause de l’éventualité de perdre leur rang social, qu’ils déclarent haut et fort que la terre de Canaan n’est pas un "cadeau".
Aujourd’hui : rien n’a changé : les commentaires négatifs continuent à pleuvoir sur Israël pour de multiples raisons il faut surtout savoir qu’en proférant toutes sortes de critiques l’on se livre non seulement à un hiloul HaShem (profanation du Nom de D) mais encore qu’en dénigrant le pays on affiche sa propre incapacité à accepter ce avec quoi bien d’autres font leur quotidien et vivent avec fierté dans ce pays où D habite au milieu de Son peuple.
------------------------------------------------------------
1 - Ces géants étaient issus de l’union des « Nefilim » ou Anges déchus avec les filles d’Adam.
